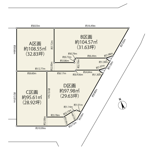
■全4区画、土地面積28.9坪~32.8坪の住宅用地(^^♪
■建築条件はございません!
■ハウスメーカーや建物プランは土地の購入後じっくりとご検討頂けます
■第1種低層住居専用地域の穏やかな住環境
■区画全体が三方角地のため陽当りが良く開放感あり(^_-)-☆
■JR常磐線「柏」駅より徒歩16分、「北柏」駅より徒歩14分です
お問い合わせはもちろん、その他ご質問等も大歓迎です。ぜひお気軽にスタッフにお問い合わせくださいませ。
土地
柏市柏
- 販売価格
- 2,490 万円 ~ 2,790 万円
- 交通
- 常磐線柏駅 徒歩16分
- 土地面積
- 95.61m²~108.55
- 建ぺい率
- 50%
- 容積率
- 100%
管理番号:11509229
担当者 コメント
おすすめ ポイント





最寄り駅周辺MAP
ローンシミュレーション
物件価格2,490 万円 ~ 2,790 万円
月々のお支払いは0円になります
金利
自己資金
返済年数
※返済金額はあくまでも目安となります。詳細は弊社までお問い合わせください。
※住宅購入では、物件資金とは別に諸費用が必要です。(火災保険、税金、ローン費用等)
※2023年10月時点の金利額での計算となります。
物件概要
| 価格 |
2,490 万円 ~ 2,790 万円
|
月々の返済額 | 万円台 |
|---|---|---|---|
| 物件名 | ピタットセレクション柏 A・B・C・D区画 | ||
| 所在 | 柏市柏 | ||
| 交通 | 常磐線「柏」駅徒歩16分 | ||
| 交通2 | 常磐線「北柏」駅徒歩14分 | ||
| 建築条件 | なし | ||
| 総区画数 | 全4区画 | 販売区画数 | 4区画 |
| 物件番号 | 411509229001 | 物件種別 | 土地 |
| 土地面積 |
公簿 95.61m²~108.55m² |
||
| 現況 | 更地 | 引渡時期 | 相談 |
| 土地権利 | 所有権 | ||
| 私道面積 | なし | セットバック面積 | なし |
| 都市計画 | 市街化区域 | 地目 | 宅地 |
| 用途地域1 | 第一種低層住居専用地域 | ||
| 建ぺい率1/容積率1 | 50%/100% | ||
| 取引態様 | 媒介 | ||
| 接道状況 | 三方 | ||
| 小学校区 |
柏市立柏第一小学校 距離:1020m |
中学校区 |
柏市立柏中学校 距離:2080m |
| 周辺環境 | ローソン慈恵医大柏病院店 :368m 西友柏東店 :1200m 東京慈恵会医科大学附属柏病院 :364m | ||
| 設備 | 都市ガス 東京電力 公営水道 排水(下水) | ||
| 備考 |
■法令上の制限:22条区域、絶対高さ制限10m 最適用途:住宅用地 国土法届出:不要 |
||
| こだわり項目 |
低層住居専用地域/駅徒歩15分以内/陽当り良好/建築条件なし/保育園・幼稚園徒歩10分以内/2沿線以上利用可/本下水/都市ガス |
||


